Камнеед, лисокот, жук Грета и карманная акула. В этой статье выбраны несколько самых удивительных созданий, впервые обнаруженных или описанных в ушедшем 2019 году.
Ученые открывают новые виды животных и растений практически ежедневно. Чаще всего обнаруживают неизвестных насекомых (этот класс отличается наибольшим биоразнообразием), однако нередко ученым попадаются новые рыбы, рептилии, птицы и даже млекопитающие - особенно из отдаленных и плохо изученных уголков планеты.
В общей сложности науке известно около 2 миллионов видов живых организмов - животных, растений и грибов. Однако, по подсчетам ученых, еще больше разновидностей (около 6 млн) до сих пор не попадались биологам и только ждут своего открытия. В этой статье выбраны несколько самых удивительных созданий, впервые обнаруженных или описанных в ушедшем 2019 году.
Эта небольшая рыбешка - всего 14 см в длину - немного похожа на кашалота, но на самом деле это так называемая карманная акула. Ее выловили в Мексиканском заливе еще в 2010 году, но только девять лет спустя официально признали новым видом.
Карманной она называется вовсе не из-за своего размера, а из-за двух углублений (карманов), расположенных по обе стороны тела, возле грудных плавников.

На популярном у туристов таиландском острове Пхукет почти не осталось необжитых мест, однако и там иногда находят новые виды животных.
Недавно на дереве в местном лесу обнаружили живописную шипастую ящерицу из семейства агамовых, которую так и назвали - "пхукетская рогатая древесная агама".

Такие пушистые красавцы размером примерно 90 см водятся на Корсике. Местные жители давно называют этих диких кошек "котолисами" за массивный полосатый хвост с черным концом.
В ушедшем году ученым наконец-то удалось поймать несколько особей и изучить их ДНК - выяснилось, что это и правда неизвестный науке вид кошачьих. Правда, никакого отношения к лисам корсиканец не имеет: его ближайший родственник - дикий африканский степной кот, предок наших домашних кошек.

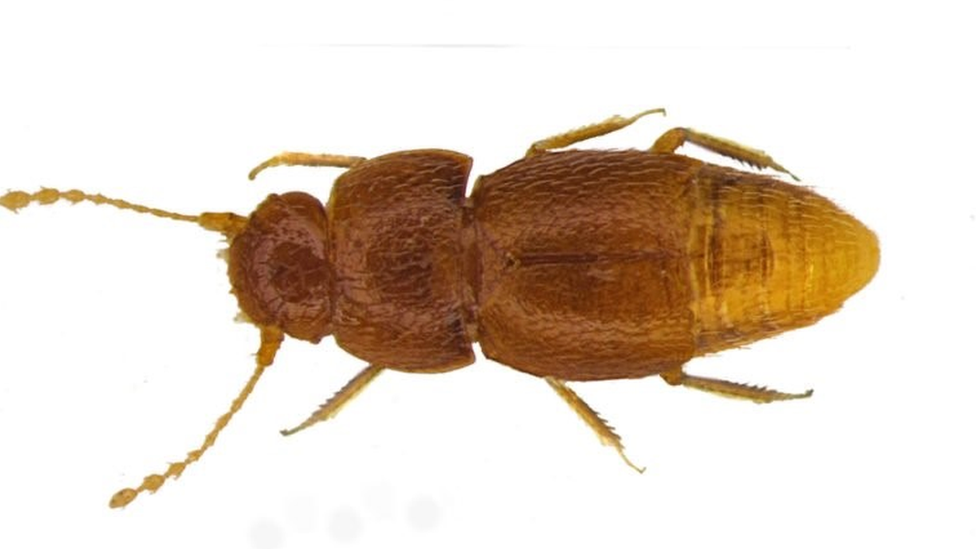
Этого крошечного жучка-вредителя (всего 1 мм в длину) привезли из Кении еще в конце 1960-х, но больше полувека он хранился в музее естественной истории в Лондоне неизученным. И только в ушедшем году сотрудник музея Майкл Дарви обнаружил, что насекомое принадлежит к ранее неизвестному виду.
Дарви решил назвать его Nelloptodes gretae - в честь шведской экоактивистки Греты Тунберг.

В реках Амазонии ученые обнаружили сразу шесть новых видов сомиков-анцистров, немного напоминающих морское чудовище Ктулху из произведений писателя Роберта Лавкрафта.
Как уточняют биологи, устрашающие щупальца растут только на голове у самцов и служат для привлечения самок.

Этот странный моллюск относится к семейству корабельных червей, которые получили такое название за то, что поедают дерево - в особенности корабельный лес, "пробуривая" в нем глубокие дыры.
Однако этот только что открытый вид живет в пресных водоемах на Филиппинах - и, кажется, питается камнями. Как именно это происходит, ученые пока не понимают - возможно, живущие в его пищеварительном тракте бактерии способны расщеплять известняк и производить питательные вещества.
Местные жители кормят этим моллюском молодых матерей, так как считается, что он помогает им кормить грудью.

Эта крошечная птаха живет на Борнео - единственном в мире острове, разделенном между тремя государствами: Индонезией, Малайзией и Брунеем.
Новый вид цветоедов питается преимущественно омелой и получил название "очковый" за счет характерных белых отметин над и под глазами.

Это не дефект фотоснимка - голова этой змеи действительно покрыта радужными пятнами.
Ее нашли в карстовых скалах на севере Лаоса и поначалу решили, что радужный уж живет только там - однако с тех пор его обнаружили еще в одном месте, что повышает шансы этого вида на выживание.

Новый вид летучих мышей, голова и плечи которых покрыты длинной густой шерстью, был обнаружен в районе Центрального плато во Вьетнаме.
Биологам нечасто попадаются неизвестные науке млекопитающие, однако летучие мыши - в некотором смысле исключение. Отряд рукокрылых чрезвычайно разнообразен и насчитывает более 1300 видов.

А этого живописного черно-красного тритона обнаружили в таиландской провинции Чианграй.
Журналисты тут же сравнили его с расой клингонов из фантастической вселенной киносаги "Звездный путь".

Семейство лучеперых рыб, известное как кардиналовые (апогоновые), также обогатилось в этом году новым видом.
Широкая темная полоса, вертикально проходящая через зрачок, придает глазам этой рыбы сходство с кошачьими.

Alpha version: 0.9.1.19 build 41017 | Инструменты